logo

“今”あなたの肌に必要なケアが分かる!美容医療を始めるなら…まずはVISIA肌診断から!“今”あなたの肌に必要なケアが分かる!美容医療を始めるなら…まずはVISIA肌診断から!

─ こんなお悩みありませんか? ─
美容医療って何から始めればいいの?
どんな施術を受けるべきか分からない
気になる施術が自分の肌に合うか不安…

そんな方には、
「VISIA肌診断」がおすすめ

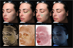
VISIA肌診断とは?
高性能カメラと分析技術で、肌のシミ・しわ・毛穴など8つの項目を詳細に分析します。
肌の強みや弱みを客観的に把握することで、適した美容施術や化粧品選びに役立ちます。
VISIA肌診断で分かること
  • 肌年齢
  • シミ・そばかすの状態
  • 隠れジミの有無
  • 毛穴の開き具合
  • しわ・小じわの程度
  • 肌のキメ・テクスチャー
  • 色ムラの種類・程度
  • ニキビ菌の数
こんな方に
肌メンテを始めたいが、何を受ければ良いか分からない方
自分の肌状態を詳しく知りたい方
自分の肌に適した美容施術やスキンケアを選びたい方
キレイパスなら「VISIA肌診断」を
お手軽に受けられます

コピーしました

アプリからの購入はいつでもポイント5倍!

  • App Storeからダウンロード
  • Google Playで手に入れよう